Bản đồ hiện trạng sử dụng đất Khu đô thị mới Lương Ninh (tỉnh Quảng Bình) cập nhật mới nhất
Mua bán nhà đất tại Quảng Bình
Nội dung chính
Bản đồ hiện trạng sử dụng đất Khu đô thị mới Lương Ninh (tỉnh Quảng Bình) cập nhật mới nhất
Vừa qua, Ủy ban nhân dân tỉnh Quảng Bình vừa ban hành và công khai nội dung Quyết định 2346/QÐ-UBND năm 2025 về việc phê duyệt Quy hoạch chi tiết Khu đô thị mới Lương Ninh, huyện Quảng Ninh, tỷ lệ 1/500.
Căn cứ Quyết định 2346/QÐ-UBND năm 2025 của Ủy ban nhân dân tỉnh Quảng Bình quy định như sau:
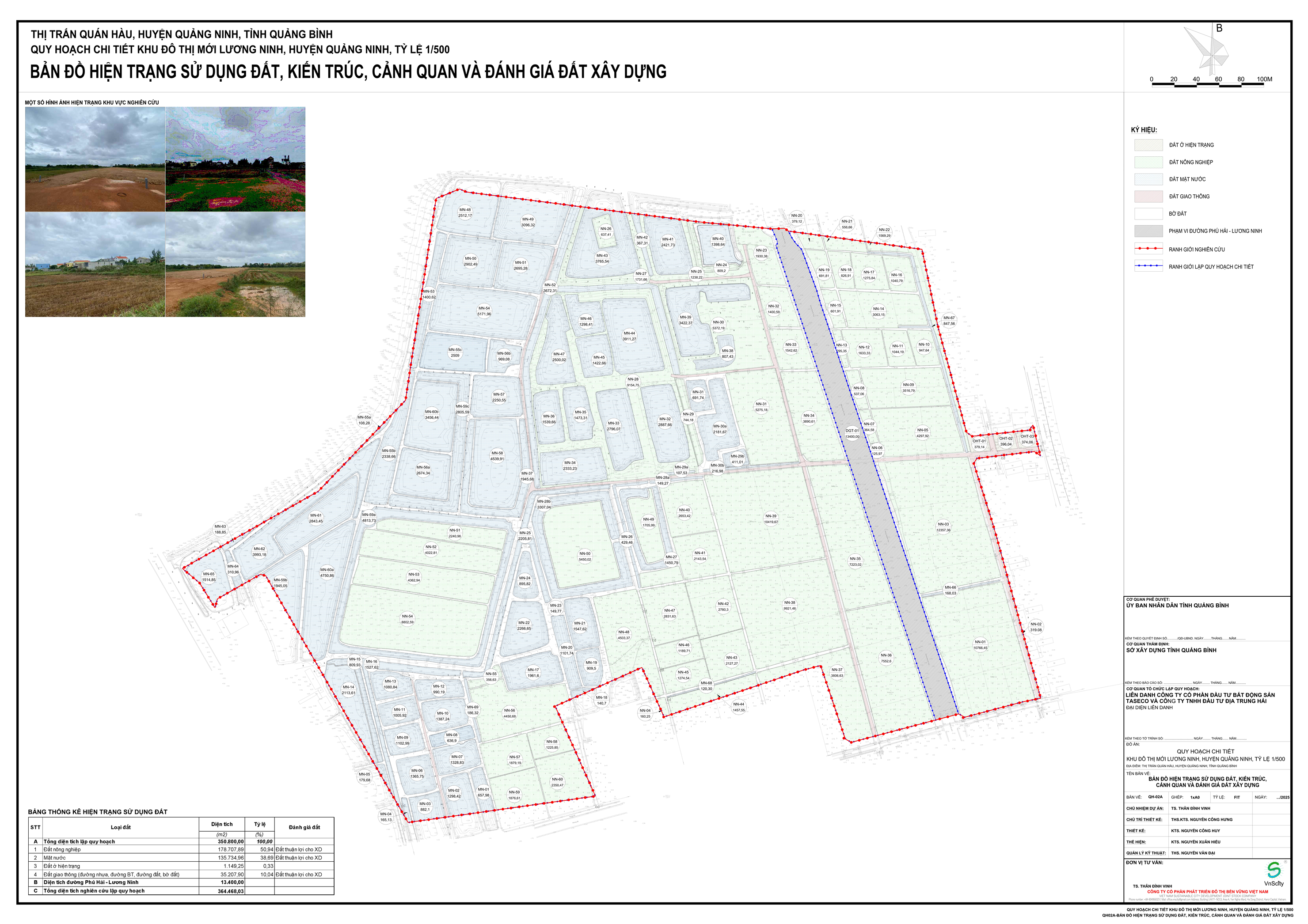
[1] Bản đồ hiện trạng sử dụng đất Khu đô thị mới Lương Ninh (tỉnh Quảng Bình)

[2] Định hướng phát triển không gian, kiến trúc cảnh quan Khu đô thị mới Lương Ninh (tỉnh Quảng Bình)
- Quy hoạch không gian, tổ chức cảnh quan, tạo lập khu đô thị theo hướng hiện đại, sinh thái ven bờ Nam sông Lệ Kỳ. Trên cơ sở các trục cảnh quan chính như:
Trục đường cấp đô thị, liên khu vực quy hoạch rộng 25m hướng Bắc - Nam, Đông - Tây đi qua khu vực quy hoạch và trục không gian cây xanh và kênh nước; tổ chức phân chia các chức năng và tạo lập không gian khu đô thị qua các trục đường phân khu vực, cấp nội bộ để bố trí các dãy nhà ở dạng biệt thự, liền kề, các chức năng công cộng, dịch vụ đô thị và các khu cây xanh, công viên, thể thao.
Các lô đất ở dạng liền kề với mặt trước nhà điển hình gồm các loại 5m, 6m, 7m; các lô đất nhà ở dạng biệt thự với mặt trước điển hình là 10m; khoảng lùi xây dựng trên một số trục chính yêu cầu > 3m, khoảng cách phía sau giữa 2 dãy nhà liền kề ≥ 4m; trong khuôn viên khu đất cần bố trí nhiều không gian, cây xanh.
- Điểm nhấn kiến trúc và không gian của khu đô thị là các công trình thương mại dịch vụ chiều cao dự kiến 5 tầng; các không gian công cộng, trục không gian cây xanh, kênh nước, tổ chức các khu vực công viên công cộng, các khu vực quảng trường, tiểu cảnh kiến trúc để phục vụ du lịch dịch vụ, cộng đồng dân cư.
Trên là thông tin bản đồ hiện trạng sử dụng đất Khu đô thị mới Lương Ninh (tỉnh Quảng Bình) cập nhật mới nhất.
>> Xem chi tiết:
Quyết định 2346/QÐ-UBND năm 2025 của Ủy ban nhân dân tỉnh Quảng Bình |

Bản đồ hiện trạng sử dụng đất Khu đô thị mới Lương Ninh (tỉnh Quảng Bình) cập nhật mới nhất (Hình từ Internet)
Quy hoạch chi tiết đô thị thuộc Khu đô thị mới Lương Ninh (tỉnh Quảng Bình) quy định ra sao?
Căn cứ Điều 26 Luật Quy hoạch đô thị và nông thôn 2024 quy định như sau:
- Quy hoạch chi tiết đô thị bao gồm các nội dung chủ yếu sau đây:
+ Xác định chỉ tiêu kinh tế - kỹ thuật đối với phạm vi lập quy hoạch;
+ Tổ chức không gian, kiến trúc cảnh quan, thiết kế đô thị và quy định về các công trình cần bảo tồn;
+ Bố trí công trình hạ tầng kỹ thuật, công trình hạ tầng xã hội, nhà ở, nhà ở xã hội (nếu có);
+ Bố trí công trình công cộng ngầm, công trình giao thông ngầm (nếu có);
+ Quy định chức năng, chỉ tiêu sử dụng đất quy hoạch đối với từng lô đất;
+ Giải pháp về bảo vệ môi trường.
- Khi lập quy hoạch chi tiết đối với trục đường mới trong đô thị phải xác định rõ phạm vi lập quy hoạch tối thiểu mỗi bên tính từ phía ngoài chỉ giới đường đỏ của tuyến đường, đáp ứng yêu cầu quản lý, phát triển, phù hợp với điều kiện hiện trạng, kiến trúc cảnh quan và tổ chức không gian đô thị.
- Các bản vẽ thể hiện nội dung quy hoạch chi tiết đô thị được lập theo tỷ lệ 1/500.
- Thời hạn quy hoạch chi tiết được xác định trên cơ sở thời hạn quy hoạch phân khu hoặc quy hoạch chung đối với trường hợp không lập quy hoạch phân khu và theo yêu cầu quản lý, phát triển.
- Trường hợp dự án đầu tư xây dựng đã được cơ quan có thẩm quyền chấm dứt theo quy định của pháp luật có liên quan thì quy hoạch chi tiết của dự án đầu tư xây dựng hết hiệu lực.
Bảo đảm sự phù hợp của Khu đô thị mới Lương Ninh (tỉnh Quảng Bình) với quy hoạch đô thị và nông thôn quy định ra sao?
Căn cứ Điều 8 Luật Quy hoạch đô thị và nông thôn 2024 quy định như sau:
- Quy hoạch đô thị và nông thôn là cơ sở để lập dự án đầu tư xây dựng, bảo đảm sự phù hợp của dự án đầu tư xây dựng đối với từng loại, cấp độ quy hoạch đô thị và nông thôn, thiết kế đô thị riêng. Chính phủ quy định chi tiết khoản 1 Điều 8 Luật Quy hoạch đô thị và nông thôn 2024.
- Việc xác định quy hoạch được thực hiện để bảo đảm sự phù hợp của dự án đầu tư xây dựng với quy hoạch trong trường hợp có sự mâu thuẫn giữa các quy hoạch đô thị và nông thôn thực hiện theo quy định sau đây:
+ Khi có sự mâu thuẫn giữa các quy hoạch đô thị và nông thôn cùng cấp độ, cùng cấp thẩm quyền phê duyệt quy hoạch thì cơ quan có thẩm quyền phê duyệt quy hoạch quyết định quy hoạch được thực hiện; trường hợp cùng cấp độ, khác cấp thẩm quyền phê duyệt quy hoạch thì cơ quan có thẩm quyền phê duyệt quy hoạch cao hơn quyết định quy hoạch được thực hiện. Các nội dung đã được cấp có thẩm quyền phê duyệt quy hoạch quyết định thực hiện phải được cập nhật và thể hiện trong hồ sơ quy hoạch;
+ Khi có sự mâu thuẫn giữa các quy hoạch đô thị và nông thôn khác nhau về cấp độ thì các cơ quan tổ chức lập quy hoạch thực hiện rà soát, báo cáo cấp có thẩm quyền phê duyệt quy hoạch để thực hiện việc điều chỉnh quy hoạch theo quy định tại Chương III Luật Quy hoạch đô thị và nông thôn 2024;
+ Trình tự, thủ tục báo cáo, quyết định quy hoạch được thực hiện trong trường hợp quy định tại điểm a khoản 2 Điều 8 Luật Quy hoạch đô thị và nông thôn 2024 thực hiện theo quy định của Chính phủ, bảo đảm yêu cầu đối với quy hoạch đô thị và nông thôn và nguyên tắc trong hoạt động quy hoạch đô thị và nông thôn quy định tại Điều 6 và Điều 7 Luật Quy hoạch đô thị và nông thôn 2024.
