Chấp thuận Quy hoạch tổng mặt bằng khu X1 phường Phú Thượng Hà Nội tỷ lệ 1/500
Mua bán Bất động sản khác tại Hà Nội
Nội dung chính
Chấp thuận Quy hoạch tổng mặt bằng khu X1 phường Phú Thượng Hà Nội tỷ lệ 1/500
Ngày 10/10/2025 UBND phường Phú Thượng đã có Văn bản 639/UBND-KTHT&ĐT năm 2025 về việc chấp thuận Quy hoạch tổng mặt bằng tỷ lệ 1/500 tại khu X1, phường Phú Thượng, thành phố Hà Nộ
Xét đề nghị của phòng Kinh tế, Hạ tầng và Đô thị tại Tờ trình số 70/TTrKTHT&ĐT ngày 10/10/2025; Ủy ban Nhân dân Phường Phú Thượng chấp thuận Quy hoạch tổng mặt bằng tỷ lệ 1/500 tại khu X1, phường Phú Thượng, thành phố Hà Nội (Dự án Nhà ở cho lực lượng vũ trang Công an nhân dân tại khu X1, phường Phú Thượng, thành phố Hà Nội) Cụ thển, nội dung chấp thuận Quy hoạch tổng mặt bằng khu X1 phường Phú Thượng Hà Nội tỷ lệ 1/500 như sau:
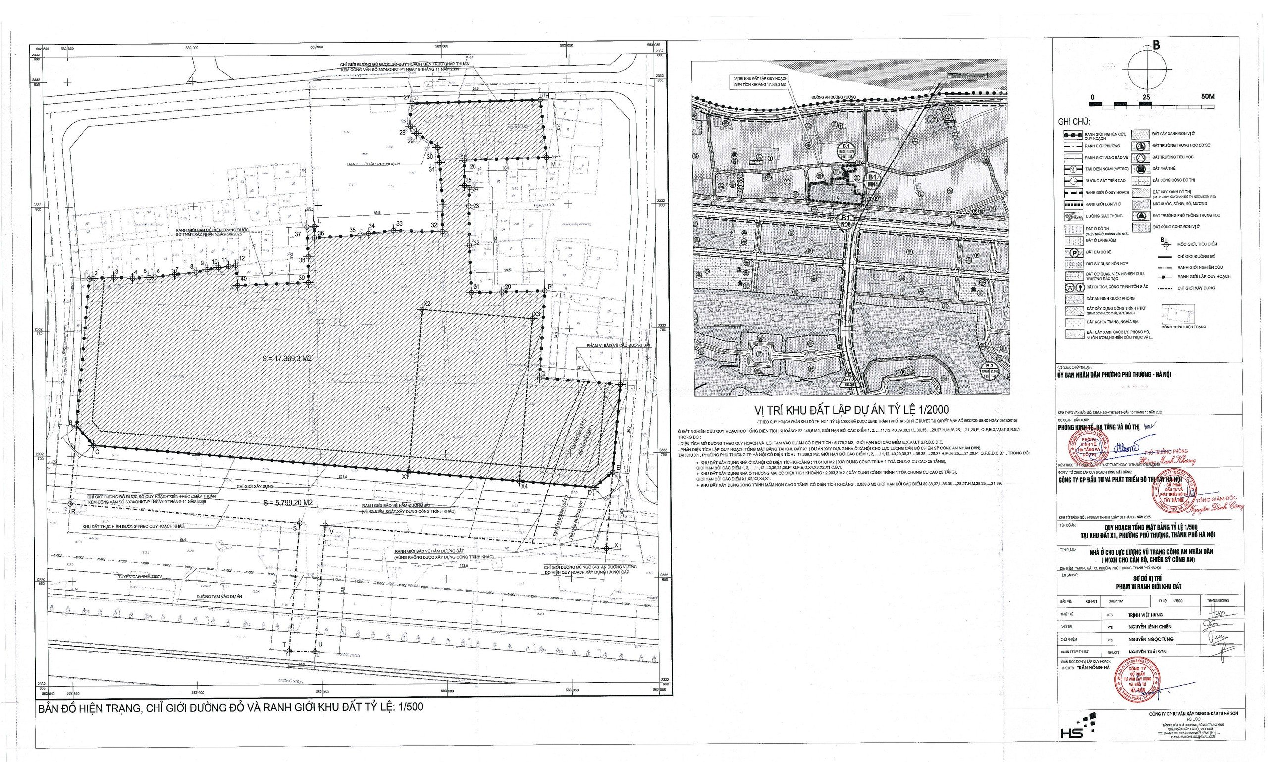
Ô đất nghiên cứu quy hoạch có diện tích: 23.148,5m² trong đó gồm: ô đất lập quy hoạch Tổng mặt bằng tại khu X1, phường Phú Thượng, thành phố Hà Nội có diện tích 17.369,3 m² và phần mở đường theo quy hoạch cùng lối vào tạm dự án có diện tích 5.779,2 m².
Theo Quy hoạch phân khu đô thị H2-1, tỷ lệ 1/2000 đã được UBND Thành phố Hà Nội phê duyệt tại Quyết định số 6632/QĐ-UBND ngày 02/12/2015, khu đất lập quy hoạch gồm hai ô B1 – N08 là đất ở đô thị và B1-MN4 là đất nhà trẻ.
...
>>> Xem chi tiết nội dung chấp thuận Quy hoạch tổng mặt bằng khu X1 phường Phú Thượng Hà Nội tỷ lệ 1/500 tại Văn bản 639/UBND-KTHT&ĐT năm 2025

Chấp thuận Quy hoạch tổng mặt bằng khu X1 phường Phú Thượng Hà Nội tỷ lệ 1/500 (Hình từ Internet)
Các yêu cầu và lưu ý khi lập quy hoạch tổng mặt bằng khu X1 phường Phú Thượng Hà Nội tỷ lệ 1/500
Theo Văn bản 639/UBND-KTHT&ĐT năm 2025 trong quá trình triển khai, Công ty Cổ phần Đầu tư và Phát triển Đô thị Tây Hà Nội thực hiện các yêu cầu và lưu ý sau:
- Nhà trẻ tại khối nhà ở xã hội cao tầng bố trí tại tầng 1 và 2 của công trình, diện tích tối thiểu 2.295m² với yêu cầu phải đảm bảo diện tích sân chơi, lối đi riêng phục vụ học sinh và các quy định về an toàn vệ sinh môi trường, phòng cháy chữa cháy theo quy định của pháp luật và các quy định chuyên ngành của Bộ Giáo dục và Đào tạo, Bộ Y tế. Diện tích không gian sinh hoạt cộng đồng tại: khối nhà ở xã hội tối thiểu 796m², khối nhà ở thương mại tối thiểu 166m².
- Căn hộ nhà ở xã hội phải đảm bảo phù hợp với tiêu chuẩn diện tích nhà xã hội theo quy định tại Nghị định 100/2024/NĐ-CP.
- Quy mô tổng diện tích sàn xây dựng phần nổi các khối công trình, diện tích sàn các khu chức năng của công trình và diện tích sàn các cống trình kỹ thuật, phụ trợ sẽ được xác định cụ thể trong giai đoạn tiếp theo khi lập phương án thiết kế công trình (hồ sợ thiết kế cơ sở, thiết kế kỹ thuật...), lập dự án đầu tư (được cơ quan chức năng chuyên ngành có ý kiến thỏa thuận), trên cơ sở phải đảm bảo phù hợp các chỉ tiêu quy hoạch kiến trúc đã được phê duyệt nêu trên và tuân thủ Quy chuẩn kỹ thuật quốc gia về quy hoạch xây dựng (OCVN 01:2021/BXD); Tiêu chuẩn thiết kế chuyên ngành; đảm bảo phù hợp với quy mô và công năng công trình. Diện tích xây dựng công trình phải đảm bảo phù hợp với mật độ xây dựng được duyệt. Tầng cao công trình phần nổi [chưa bao gồm lửng, tum thang kỹ thuật (nếu có)]: tuân thủ Thông tư số 06/2021/TT-BXD ngày 30/6/2021 của Bộ Xây dựng. Tổng chiều cao công trình phù hợp theo công Văn bản số 544/TC-QC ngày 12/9/2025 của Cục Tác chiến - Bộ Tổng tham mưu về chấp thuận độ cao tĩnh không xây dựng công trình tại ô đất X1, phú Thượng.
- Giải pháp thiết kế các công trình tại khu đất phải đảm bảo các yêu cầu phòng cháy chữa cháy, vệ sinh môi trường, chống động đất; tuân thủ Quy chuẩn kỹ thuật Quốc gia về an toàn cháy cho nhà và công trình QCVN06: 2022/BXD và Thông tư số 09/2023/TT-BXD ngày 16/10/2023.
Ranh giới xây dựng phần ngầm công trình được xác định tại Bản đồ Quy hoạch không gian ngầm tuân thủ theo quy định tại Nghị định số 39/2010/NĐ-CP ngày 07/4/2010 của Chính phủ về quản lý không gian xây dựng ngầm đô thị. Giải pháp thiết kế, quy mỗ diện tích xây dựng tầng hầm cụ thể sẽ được nghiên cứu tính toán và xác định chính xác trong giai đoạn lập phương án kiến trúc công trình, dự án đầu tư xây dựng, đảm bảo các yêu cầu phòng cháy chữa cháy, quản lý không gian ngầm theo quy định và được cấp
thẩm quyền phê duyệt.
- Khi lập dự án đầu tư, triển khai thi công xây dựng phải tiến hành khảo sát cụ thể hiện trạng sử dụng đất, các công trình ngầm và nổi hiện có tại dự án và có liên quan theo quy định của Nhà nước, đồng thời phải đảm bảo việc tiêu thoát nước chung cho khu vực (được cơ quan có thẩm quyền thỏa thuận).
- Khi thiết kế phương án kiến trúc công trình phải đảm bảo các chỉ tiêu quy hoạch kiến trúc và định vị mặt bằng công trình theo các chỉ tiêu đã khống chế tại Bản đồ quy hoạch tổng mặt bằng sử dụng đất và Sơ đồ tổ chức không gian kiến trúc cảnh quan; tuân thủ quy định của Quy chuẩn Xây dựng Việt Nam, Tiêu chuẩn thiết kế chuyên ngành, các quy định hiện hành khác có liên quan và phải được cơ quan chức năng có thẩm quyền chấp thuận.
- Nghiên cứu giải pháp thiết kế kiến trúc công trình đẹp, hiện đại (chỉ tiết kiến trúc công trình, màu sắc, hình thức kiến trúc mặt đứng, vật liệu trang trí hoàn thiện, chiếu sáng...) phù hợp với công
- Lựa chọn và trồng cây xanh đô thị đúng chủng loại và phù hợp với điều kiện tự nhiên, khí hậu, cảnh quan thiên nhiên, bố cục không gian kiến trúc và kết hợp hài hòa với hệ thống cây xanh hiện có trong khu đô thị để tạo thành tuyến, điểm, diện. Phát huy vai trò trang trí, phân cách, chống bụi, chống ồn, tạo cảnh quan, cải tạo vi khí hậu, không gây độc hại, tránh cản trở tầm nhìn giao thông và không ảnh hưởng tới các công trình hạ tầng đô thị (đường dây, đường ống, kết cấu via hè, mặt đường), đáp ứng các yêu cầu về quản lý sử dụng, tuân thủ quy chuẩn kỹ thuật về thiết kế cây xanh đô thị.
- Nghiên cứu sử dụng trang thiết bị chiếu sáng tiết kiệm năng lượng, các loại vật liệu thân thiện môi trường, các thiết bị hiệu suất cao tiết kiệm năng lượng (sử dụng đèn Led chiếu sáng, hệ thống sử dụng năng lượng mặt trời ...). Khuyến khích khai thác nghệ thuật ánh sáng nhất là hình ảnh về đêm như chiếu sáng công trình, chiếu sáng đường phố, chiếu sáng cây xanh, sân vườn nội bộ... Có giải pháp, yêu cầu chiếu sáng phù hợp đối với các khu chức năng khác nhau.
- Tại các vị trí phương tiện (ô tô, xe máy) ra, vào khu đất cho phép hạ hè để mở các lối ra, vào khu đất. Vị trí, chiều rộng lối ra, vào sẽ được xác định cụ thể trong giai đoạn lập dự án đầu tư xây dựng được cấp thẩm quyền phê duyệt.
- Xây dựng các trụ sạc cho xe điện (ô tô, xe máy, xe đạp điện....) tại tầng hầm công trình đảm bảo các yêu cầu an toàn về phòng cháy chữa cháy và số
lượng trụ sạc/số chỗ đỗ xe theo quy định. Vị trí, diện tích, công suất, công nghệ
các trụ sạc sẽ được xác định cụ thể trong giai đoạn lập dự án đầu tư xây dựng được cấp thẩm quyền phê duyệt.
- Xây dựng các trạm biến áp cục bộ, tủ cáp thông tin để cấp nguồn cho khu đất. Các trạm biến áp sử dụng trạm cột, trạm treo hoặc bố trí trong công trình. Vị trí, hình thức, diện tích, công suất... của trạm biến áp, tủ cáp sẽ được xác định cụ thể, chính xác trong giai đoạn lập dự án đầu tư xây dựng trên cơ sở ý kiến thỏa thuận của cơ quan quản lý chuyên ngành, được cấp có thẩm quyền phê duyệt.
- Trước khi tiến hành đầu tư xây dựng cần khảo sát kỹ các công trình ngầm và nổi trong khu vực để có phương án giải quyết theo quy định, không làm ảnh hưởng đến hoạt động sinh hoạt và kết cấu công trình liền kể, hệ thống hạ tầng kỹ thuật chung hiện có của khu vực: Liên hệ với các cơ quan quản lý chuyên ngành để được thỏa thuận giải pháp đấu nối giữa hệ thống hệ tầng kỹ thuật của dự án và hệ thống hạ tầng kỹ thuật chung của khu vực theo quy định; đồng thời đảm bảo kết nối hệ thống giao thông cho người dân sinh sống trong khu vực không bị ảnh hưởng mà còn đảm bảo được thuận lợi, khang trang, sạch đẹp cũng như đảm bảo cho công tác phòng cháy chữa cháy của khu vực.
- Chỉ giới xây dựng phần ngầm không vượt quá chỉ giới đường đỏ, ranh giới khu đất lập quy hoạch. Chỉ giới xây dựng phần ngầm không vượt quá chỉ giới đường đỏ, ranh giới khu đất lập quy hoạch. Phương án thiết kế hạ tầng kỹ thuật khu đất dự án trong giai đoạn thiết kế cơ sở tuân thủ Quy chuẩn, Tiêu chuẩn, khớp nối đồng bộ với hệ thống hạ tầng kỹ thuật chung khu vực theo quy hoạch; đảm bảo yêu cầu an toàn phòng cháy chữa cháy, vệ sinh môi trường, thoát người khi có sự cổ cho công trình và phải được cơ quan quản lý chuyên ngành thỏa thuận.
- Căn hộ nhà ở xã hội phải đảm bảo phù hợp với tiêu chuẩn diện tích nhà xã hội theo quy định tại Nghị định số 100/2024/NĐ-CP ngày 26/07/2024.
- Liên hệ với cơ quan chức năng để được hướng dẫn thực hiện đầy đủ nghĩa vụ về đầu tư, tài chính, đất đai, an toàn phòng cháy chữa cháy, xây dựng ... theo đúng quy định pháp luật hiện hành của Nhà nước và Thành phố.
- Phối hợp với UBND phường Phú Thượng công bố, công khai quy hoạch tổng mặt bằng được chấp thuận theo quy định tại Luật Quy hoạch đô thị và nông thôn.
Vị trí lập quy hoạch tổng mặt bằng khu X1 phường Phú Thượng Hà Nội tỷ lệ 1/500
Dự án tại khu đất X1, phường Phú Thượng có diện tích 2,1ha, mặt tiền là tuyến đường nối 2 Vành đai 2 và 3. khu đất dự án này đối diện KĐT Ciputra.
Dưới đây là bản đồ vị trí lập Quy hoạch tổng mặt bằng khu X1 phường Phú Thượng Hà Nội tỷ lệ 1/500

