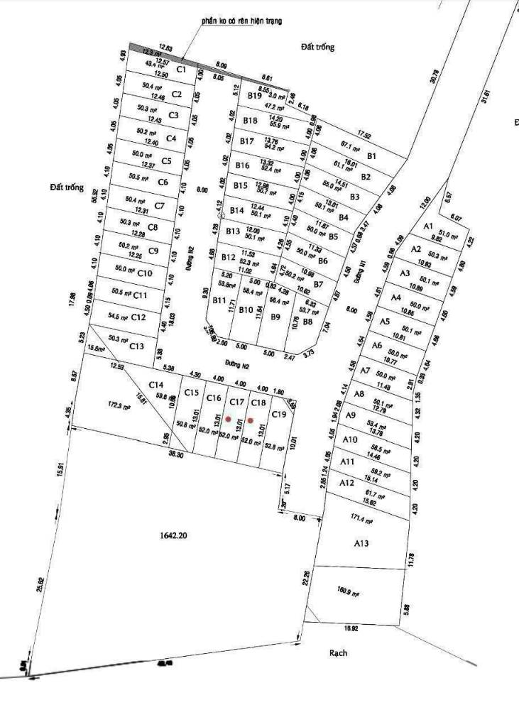
Bán lô đất Mạnh Tiến Phát, đường số 8, P. Long Phước, Q9
2,78 tỷ
52 m²
Zalo phone-call-black 0963 810 ***
Danh
Zalo Zalo phone-call-black0963 810 ***