17:07 - 11/10/2025

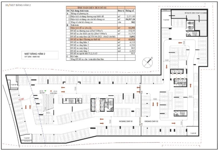
Sơ đồ mặt bằng hầm dự án A&T Saigon Riverside

Sơ đồ mặt bằng hầm dự án A&T Saigon Riverside. Tổng quan về dự án A&T Saigon Riverside

Nội dung chính

    Sơ đồ mặt bằng hầm dự án A&T Saigon Riverside

    A&T Saigon Riverside là khu căn hộ cao cấp “resort-style” ven sông Sài Gòn do A&T Group phát triển, DXMD Vietnam đồng hành triển khai. Dự án nằm tại phường Vĩnh Phú (khu Lái Thiêu – Thuận An, Bình Dương), sát trục Quốc lộ 13 và dải ven sông Sài Gòn, nên kết nối thuận lợi về TP.HCM – Thủ Dầu Một – Dĩ An – Biên Hòa. Không gian mặt nước rộng, bao quanh bởi mảng xanh và tiện ích nghỉ dưỡng là điểm nhấn tạo nên phong cách sống khác biệt của dự án.

    Dự án A&T Saigon Riverside được thiết kế với 2 tầng hầm nhằm đáp ứng nhu cầu đỗ xe và kỹ thuật hỗ trợ cư dân. Hai tầng hầm này có chức năng chủ yếu là khu đỗ xe ô tô và xe máy, đồng thời bố trí các không gian kỹ thuật như phòng bơm, phòng điện, hệ thống thông gió và hầm thoát hiểm.

    Với tòa nhà cao 40 tầng và khoảng gần 982 căn hộ + 10 shophouse (theo thông tin quy mô), tầng hầm được bố trí diện tích rộng rãi để đảm bảo đủ chỗ đậu cho cư dân, khách và hoạt động dịch vụ. Việc bố trí 2 tầng hầm sẽ giúp giảm áp lực về chỗ để xe khi dự án đi vào vận hành, đồng thời giúp mặt sàn tầng trệt tập trung vào chức năng thương mại và dịch vụ.

    Lối ra/vào tầng hầm thường được thiết kế qua các đường dốc (ramps) được bố trí hợp lý không ảnh hưởng nhiều đến các khối nhà và không gian cảnh quan. Hệ thống thông gió, chiếu sáng và an ninh cũng là yếu tố quan trọng được đầu tư trong tầng hầm để đảm bảo an toàn và tiện ích cho người sử dụng.

    Dưới đây là sơ đồ mặt bằng hầm dự án A&T Saigon Riverside

    Tổng quan về dự án A&T Saigon Riverside

    Dưới đây là bảng giới thiệu tổng quan về dự án A&T Saigon Riverside

    Hạng mụcThông tin
    Tên dự ánA&T SAIGON RIVERSIDE
    Vị tríP. Vĩnh Phú, Thuận An, TP. Hồ Chí Minh (Mặt tiền đường Ven sông Sài Gòn)
    Chủ đầu tưCông ty CP Đầu tư Phát triển Đô thị A&T Thuận An
    Vốn đầu tư2.173 tỷ đồng
    Đơn vị phát triểnA&T Group
    Đơn vị xây dựngCông ty CP Xây dựng CDC
    Quy mô7.208 m²
    Loại sản phẩmCăn hộ & Officetel
    Tiện ích nổi bậtHồ bơi, khu vui chơi trẻ em, 2 tầng hầm để xe, thư viện đọc sách trên cao,…
    Khởi côngQuý 3/2025 
    Bàn giaoQuý 1/2028
    Giá bánCông bố chính thức vào tháng 8
    Ưu điểm dòng tiềnThanh toán nhẹ trong 3 năm, hoặc góp 1–2%/đợt
    Ngân hàng hỗ trợNgân hàng hỗ trợ 70%, ân hạn gốc và lãi 24 tháng
    Pháp lýChấp thuận chủ trương đầu tư & Giấy phép xây dựng
    Nhà mẫuĐang cập nhật
    Thời gian mở bán đợt 1Quý 4/2025

    Sơ đồ mặt bằng hầm dự án A&T Saigon Riverside

    Sơ đồ mặt bằng hầm dự án A&T Saigon Riverside (Hình từ Internet)

    Nhà chung cư có tầng hầm thì đánh số tầng hầm như thế nào?

    Căn cứ theo quy định tại Điều 13 Thông tư 08/2024/TT-BXD như sau:

    Điều 13. Đánh số căn hộ của nhà chung cư
    1. Đánh số căn hộ được sử dụng dãy số tự nhiên với thứ tự từ số nhỏ đến số lớn theo chiều quy định tại khoản 2 Điều này để đánh số căn hộ. Ghi số tầng trước số căn hộ được ghi tách riêng bằng dấu gạch ngang (ví dụ: 21 - 05).
    2. Chiều đánh số căn hộ được thực hiện theo quy định sau đây:
    a) Theo chiều quay kim đồng hồ, bắt đầu từ căn hộ đầu tiên phía bên trái của lối đi chính (thang máy hoặc thang bộ);
    b) Trường hợp ngôi nhà chung cư có nhiều lối đi, thì lối đi chính do chủ đầu tư xác định. Chiều đánh số thực hiện theo nguyên tắc quy định tại điểm a khoản này.
    3. Việc đánh số tầng nhà chung cư được thực hiện theo quy định sau đây:
    a) Đánh số tầng nhà theo nguyên tắc lấy chiều từ tầng dưới lên tầng trên, bắt đầu từ tầng 1 của ngôi nhà (không tính tầng hầm). Dùng các số tự nhiên (1, 2, 3,..., n với n là tổng số tầng của ngôi nhà) để đánh số tầng và được lấy từ số nhỏ đến số lớn;
    b) Trường hợp không đánh số liên tục có thể dùng số tầng trước đó kết hợp thêm ký tự (ví dụ: 4 thành 3A; 7 thành 6A...). Có thể đặt tên tầng trệt thay cho tầng 1, khi đó các tầng tiếp theo từ dưới lên được đánh số là tầng 1, tầng 2,... tầng n-1;
    c) Trường hợp nhà có tầng hầm thì đánh số tầng hầm theo nguyên tắc lấy chiều từ tầng hầm ở trên cùng xuống hầm phía dưới, bắt đầu từ tầng hầm gần nhất với tầng 1 hoặc tầng trệt của ngôi nhà. Dùng các số tự nhiên (1, 2, 3,..., n với n là tổng số tầng hầm của ngôi nhà) để đánh số tầng hầm, lấy từ số nhỏ đến số lớn. Để phân biệt với tầng nhà thì viết thêm ký hiệu chữ do chủ đầu tư quyết định vào trước số tầng hầm (ví dụ: B1, B2, B3,...hoặc H1, H2, H3...).
    4. Việc đánh số cầu thang nhà chung cư (từ 2 cầu thang sử dụng chung trở lên) được thực hiện theo nguyên tắc lấy chiều từ lối đi chính vào nhà, cầu thang đầu tiên từ bên trái đánh số 1, những cầu thang tiếp theo được đánh số 2, 3,...n.

    Theo đó, đối với nhà chung cư có tầng hầm thì đánh số tầng hầm như sau:

    - Đánh số tầng hầm theo nguyên tắc lấy chiều từ tầng hầm ở trên cùng xuống hầm phía dưới, bắt đầu từ tầng hầm gần nhất với tầng 1 hoặc tầng trệt của ngôi nhà.

    - Dùng các số tự nhiên (1, 2, 3,..., n với n là tổng số tầng hầm của ngôi nhà) để đánh số tầng hầm, lấy từ số nhỏ đến số lớn.

    - Để phân biệt với tầng nhà thì viết thêm ký hiệu chữ do chủ đầu tư quyết định vào trước số tầng hầm (ví dụ: B1, B2, B3,...hoặc H1, H2, H3...)

    1