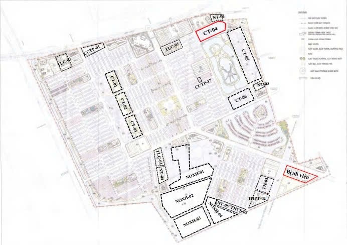
Sơ đồ sử dụng đất Khu đô thị sinh thái Dream City Hưng Yên của CTCP Vinhomes
Nội dung chính
Chỉ tiêu sử dụng đất Khu đô thị sinh thái Dream City Hưng Yên của CTCP Vinhomes
Tại Báo cáo đề xuất cấp lại giấy phép môi trường của cơ sở Khu đô thị sinh thái Dream City có nêu như sau:




Ghi chú: (*): Các phân khu chức năng và diện tích đất của cơ sở được căn cứ theo Quyết định 1155/QĐ-UBND ngày 26/05/2023 của UBND tỉnh Hưng Yên phê duyệt Đồ án điều chỉnh cục bộ Quy hoạch chi tiết xây dựng tỷ lệ 1/500 Khu đô thị sinh thái Dream City.
Dưới đây là sơ đồ sử dụng đất Khu đô thị sinh thái Dream City Hưng Yên của CTCP Vinhomes:

Sơ đồ sử dụng đất Khu đô thị sinh thái Dream City Hưng Yên của CTCP Vinhomes (Hình trong Báo cáo đề xuất cấp lại giấy phép môi trường của cơ sở Khu đô thị sinh thái Dream City)

Sơ đồ sử dụng đất Khu đô thị sinh thái Dream City Hưng Yên của CTCP Vinhomes (Hình từ Internet)
Quy mô khu đô thị sinh thái Dream City Hưng Yên của CTCP Vinhomes
Tại các khoản 1.1 và 1.2 Chương 1 Báo cáo đề xuất cấp lại giấy phép môi trường của cơ sở Khu đô thị sinh thái Dream City (trang 8) có nêu về một số thông tin của Khu đô thị sinh thái Dream City tỉnh Hưng Yên như sau:
1. Chủ cơ sở:
- Tên chủ cơ cở: Công ty Cổ phần Vinhomes
- Địa chỉ văn phòng: Tòa nhà Văn phòng Symphony, đường Chu Huy Mân, Khu Đô thị Vinhomes Riverside, phường Phúc Lợi, thành phố Hà Nội, Việt Nam.
2. Tên cơ sở: Khu đô thị sinh thái Dream City.
3. Địa điểm cơ sở: Tại xã Long Hưng và xã Nghĩa Trụ, huyện Văn Giang, tỉnh Hưng Yên (nay là xã Nghĩa Trụ, tỉnh Hưng Yên).
4. Quy mô của cơ sở theo tiêu chí về môi trường và phân loại dự án đầu tư:
- Cơ sở có tiêu chí như Dự án nhóm A (phân loại theo tiêu chí quy định của pháp luật về đầu tư công): Cơ sở thuộc loại Dự án đầu tư Nhóm A theo quy định tại Mục c khoản 4 Điều 9 Luật Đầu tư công 2024 (Dự án thuộc lĩnh vực hạ tầng kỹ thuật khu đô thị mới có tổng mức đầu tư > 2.000 tỷ đồng).
- Cơ sở có tiêu chí về môi trường như dự án đầu tư Nhóm 1 theo quy định của Luật Bảo vệ môi trường 2020, Nghị định 08/2022/NĐ-CP, Nghị định 05/2025/NĐ-CP: Đây là Dự án sử dụng đất với quy mô lớn, thuộc Quyết định chủ trương đầu tư của Thủ tướng Chính phủ được quy định chi tiết tại số thứ tự 1, Mục 1, Phụ lục III ban hành kèm theo Nghị định 08/2022/NĐ-CP, được sửa đổi, bổ sung tại Nghị định 05/2025/NĐ-CP.
- Yếu tố nhạy cảm về môi trường: Dự án không có yếu tố nhạy cảm về môi trường theo quy định tại khoản 4 Điều 25 Nghị định 08/2022/NĐ-CP được sửa đổi, bổ sung tại khoản 6 Điều 1 Nghị định 05/2025/NĐ-CP.
- Loại hình sản xuất, kinh doanh, dịch vụ: Kinh doanh bất động sản (xây dựng các khu nhà ở, khu dân cư và hạ tầng khu nhà ở).
Nội dung quy hoạch phân khu đô thị từ 01/07/2025 là gì?
Căn cứ khoản 1 Điều 25 Luật Quy hoạch đô thị và nông thôn 2024 quy định về nội dung quy hoạch phân khu đô thị từ 01/07/2025 như sau:
Điều 25. Quy hoạch phân khu đô thị
1. Quy hoạch phân khu đô thị bao gồm các nội dung chủ yếu sau đây:
a) Xác định chỉ tiêu kinh tế - kỹ thuật đối với phạm vi lập quy hoạch;
b) Xác định nguyên tắc, giải pháp tổ chức không gian, kiến trúc cảnh quan cho toàn khu vực lập quy hoạch;
c) Xác định chỉ tiêu về dân số, sử dụng đất quy hoạch, hạ tầng kỹ thuật đối với từng ô phố theo cấp đường phân khu vực;
d) Bố trí công trình hạ tầng kỹ thuật, công trình hạ tầng xã hội, nhà ở, nhà ở xã hội (nếu có) phù hợp với nhu cầu sử dụng; bố trí không gian ngầm (nếu có) đến các trục đường phố phù hợp với các giai đoạn phát triển của toàn khu vực lập quy hoạch;
đ) Giải pháp về bảo vệ môi trường.
Quy hoạch phân khu đô thị bao gồm các nội dung chủ yếu sau đây:
a) Xác định chỉ tiêu kinh tế - kỹ thuật đối với phạm vi lập quy hoạch;
b) Xác định nguyên tắc, giải pháp tổ chức không gian, kiến trúc cảnh quan cho toàn khu vực lập quy hoạch;
c) Xác định chỉ tiêu về dân số, sử dụng đất quy hoạch, hạ tầng kỹ thuật đối với từng ô phố theo cấp đường phân khu vực;
d) Bố trí công trình hạ tầng kỹ thuật, công trình hạ tầng xã hội, nhà ở, nhà ở xã hội (nếu có) phù hợp với nhu cầu sử dụng; bố trí không gian ngầm (nếu có) đến các trục đường phố phù hợp với các giai đoạn phát triển của toàn khu vực lập quy hoạch;
đ) Giải pháp về bảo vệ môi trường.
[...]
Như vậy, nội dung quy hoạch phân khu đô thị từ 01/07/2025 gồm:
- Xác định chỉ tiêu kinh tế - kỹ thuật đối với phạm vi lập quy hoạch;
- Xác định nguyên tắc, giải pháp tổ chức không gian, kiến trúc cảnh quan cho toàn khu vực lập quy hoạch;
- Xác định chỉ tiêu về dân số, sử dụng đất quy hoạch, hạ tầng kỹ thuật đối với từng ô phố theo cấp đường phân khu vực;
- Bố trí công trình hạ tầng kỹ thuật, công trình hạ tầng xã hội, nhà ở, nhà ở xã hội (nếu có) phù hợp với nhu cầu sử dụng; bố trí không gian ngầm (nếu có) đến các trục đường phố phù hợp với các giai đoạn phát triển của toàn khu vực lập quy hoạch;
- Giải pháp về bảo vệ môi trường.
